Byly zahájeny distribuce do revírů

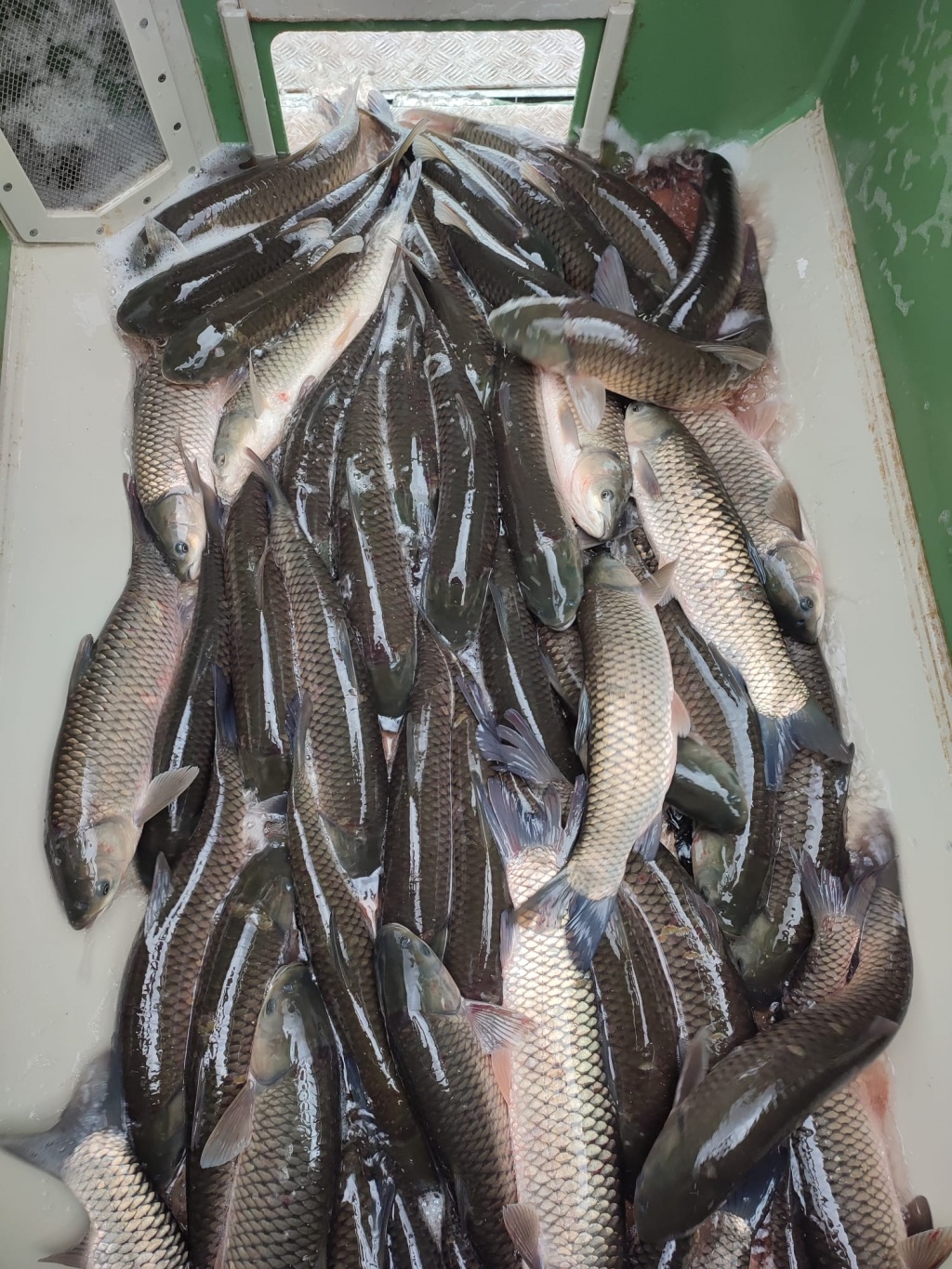
Dnes proběhla první letošní distribuce do našich revírů. Distribuováno bylo:

  • 2900 kg amura o průměrné váze 2 kg/ks
  • 200 kg štiky o průměrné váze 1 kg/ks)
  • 125 kg lína o průměrné váze 0,35 kg/ks
  • 2000 kg kapra o průměrné váze 1,3 kg/ks)
  • 250 kg bílé ryby

V následujícím období se distribuce dle hydrometeorologických podmínek rozjedou naplno.


10.03.2023, Český rybářský svaz
Otto František Babler
Toužíš po myšlence? Buď tichý a trpělivý rybář.