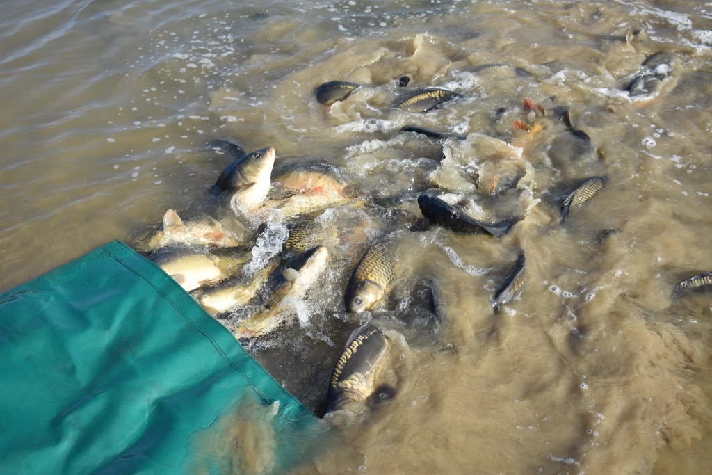
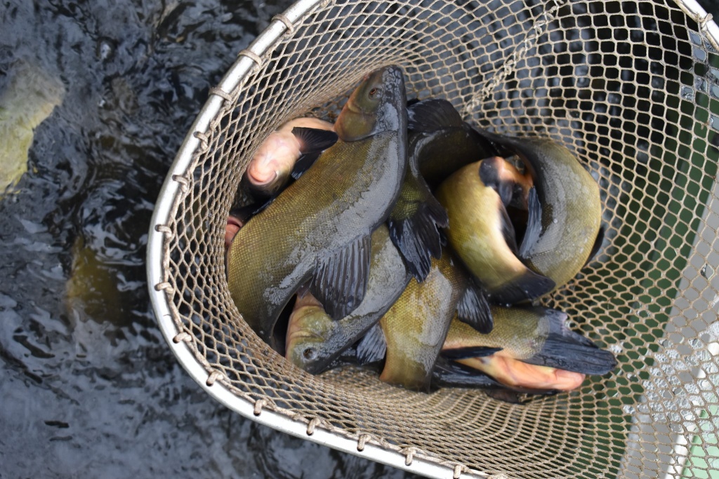
Distribuce 1.-15.11.2020

Do MP revírů za uplynulé období distribuováno:

  • 745 kg štiky o průměrné váze 0,3 kg/ks

  • 700 kg lína o průměrné váze 0,4 kg/ks
  • 1060 kg lína o průměrné váze 0,3 kg/ks

  • 9600 kg amura o průměrné váze 2 kg/ks

  • 700 kg kapra o průměrné váze 1,6 kg/ks
  • 2650 kg kapra o průměrné váze 1,1 kg/ks

  • 350 kg okouna a bílé ryby (cca 4/5 okoun)

Letošní distribuce jdou již pomalu do finále, ovšem stále to není vše, rybáři se mohou na další ryby ještě těšit.


16.11.2020, Český rybářský svaz
Otto František Babler
Toužíš po myšlence? Buď tichý a trpělivý rybář.