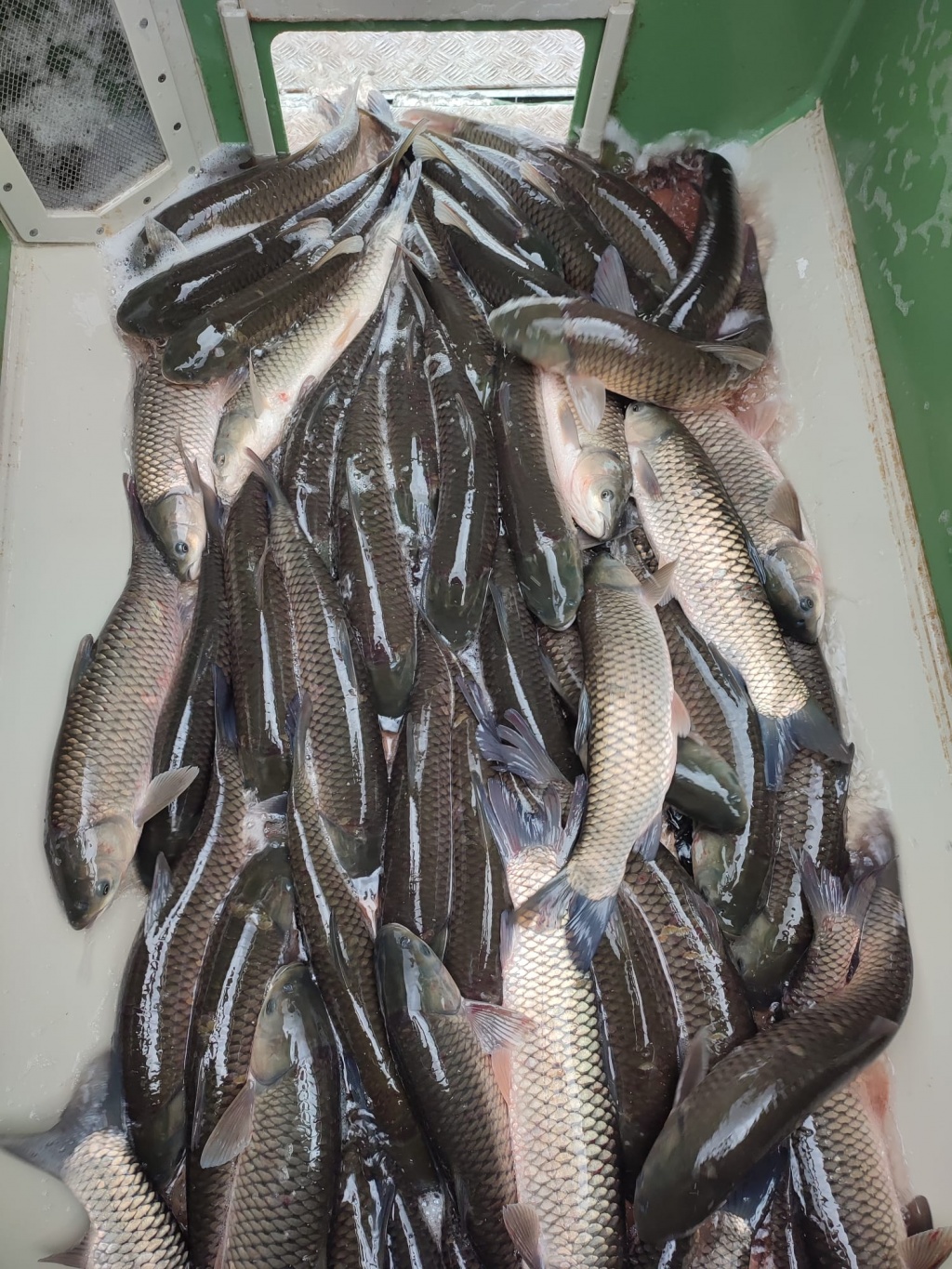
Distribuováno 4000 kg amura, 300 kg candáta a 50 kg štiky

Do revírů Severočeského územního svazu bylo během úterý a středy distribuováno 4000 kg amura o průměrné váze 1,75 kg/ks, 300 kg candáta (cca 2000 ks), a 50 kg štiky (roček).

Aktuálně jsou pracovníci našeho ÚS znovu v terénu, distribuovány jsou stovky kilogramů větších štik i candátů, stejně tak amur.

Zítra by měly následovat další tisíce kg lína, další candáti, štiky, amuři a bílá ryba. Všem slušným rybářům přejeme Petrův zdar!


06.11.2025, Český rybářský svaz
Otto František Babler
Toužíš po myšlence? Buď tichý a trpělivý rybář.