Distribuováno 7200 kg kapra, 700 kg lína, 500 kg bílé ryby a 1000 ks candáta

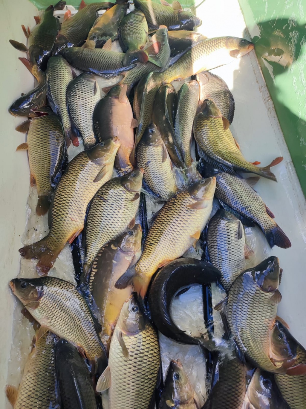
Během pondělí a úterý bylo do revírů Severočeského územního svazu distribuováno 7200 kg kapra o průměrné váze 2 kg/ks, 700 kg lína o průměrné váze 0,35 kg/ks, 500 kg bílé ryby a také 1000 ks krásného ročka candáta.

Dnes distribuujeme dalších cca 15200 kg ryb, pokračovat budeme i zítra, o těchto distribucích budeme informovat.


19.03.2025, Český rybářský svaz
Otto František Babler
Toužíš po myšlence? Buď tichý a trpělivý rybář.