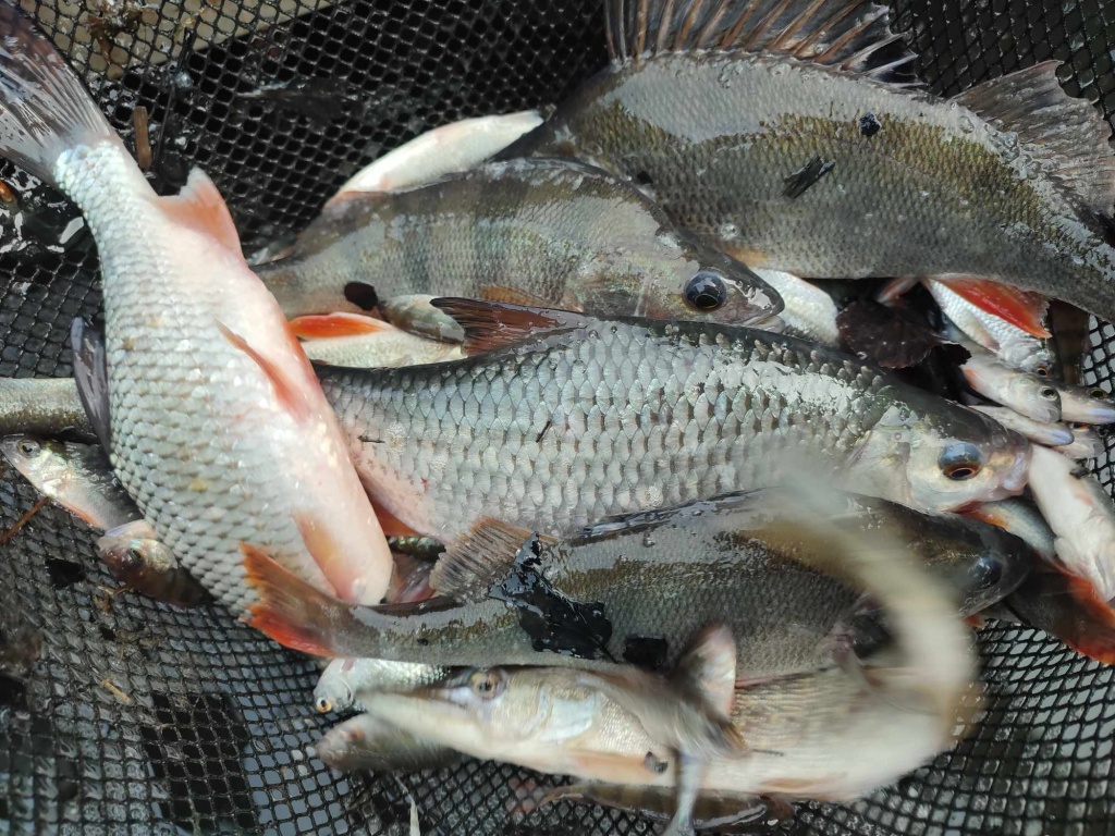
Do revírů distribuováno 15000 kg kapra, ale také amuři, štiky, okouni a bílá ryba

Do revírů bylo v posledních dnech distribuováno 15000 kg kapra, na jaře byl této ryby nedostatek, nyní se ovšem daří vše dohánět, zarybňovací plány by tak měly být splněny. Mimo kapra bylo distribuováno také 1500 kg amura, 300 kg štiky, dále stovky kilogramů okouna a bílé ryby. Další ryby včetně dravců do revírů zamíří v následujících dnech.


17.10.2023, Český rybářský svaz
Otto František Babler
Toužíš po myšlence? Buď tichý a trpělivý rybář.