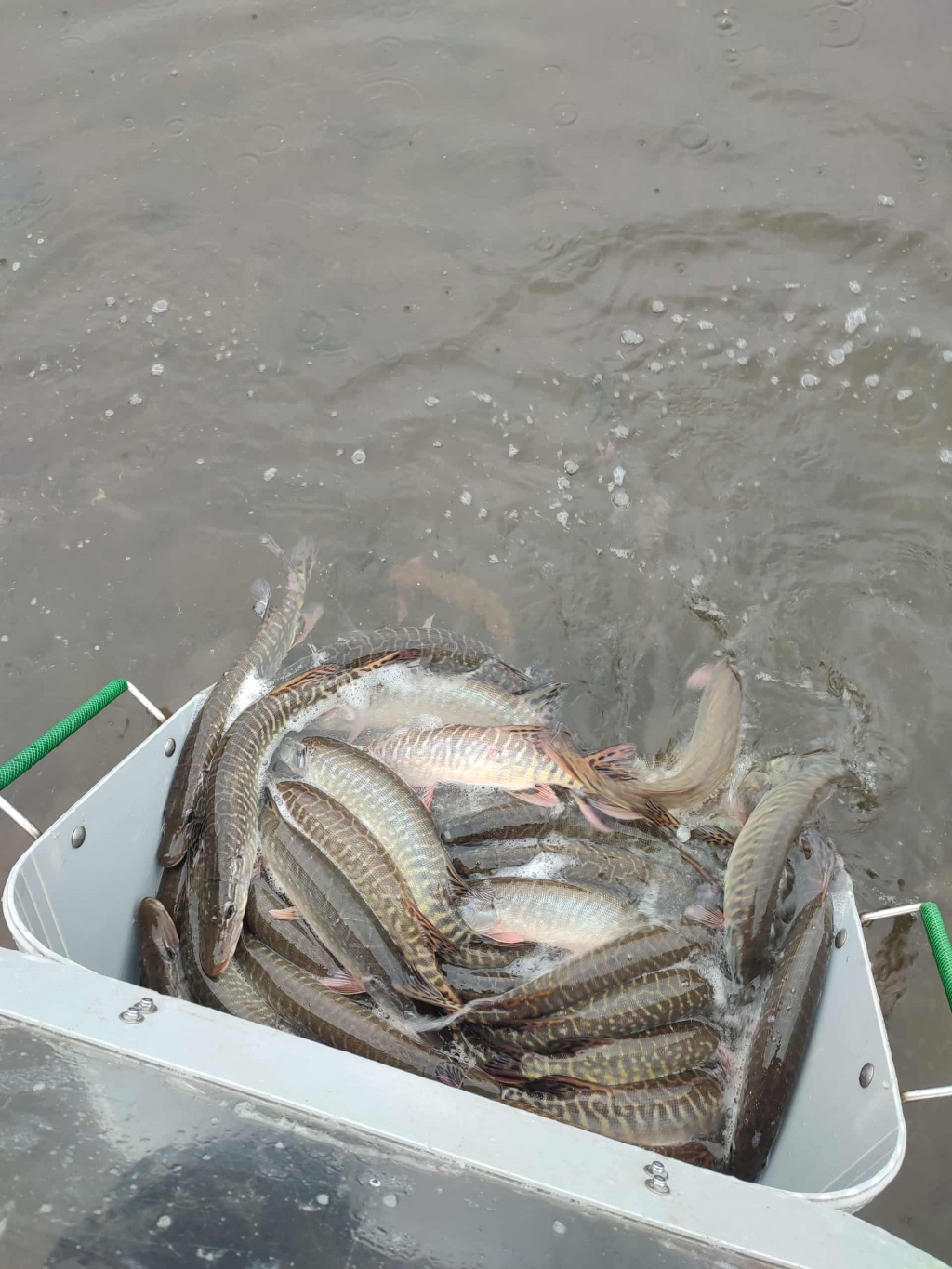
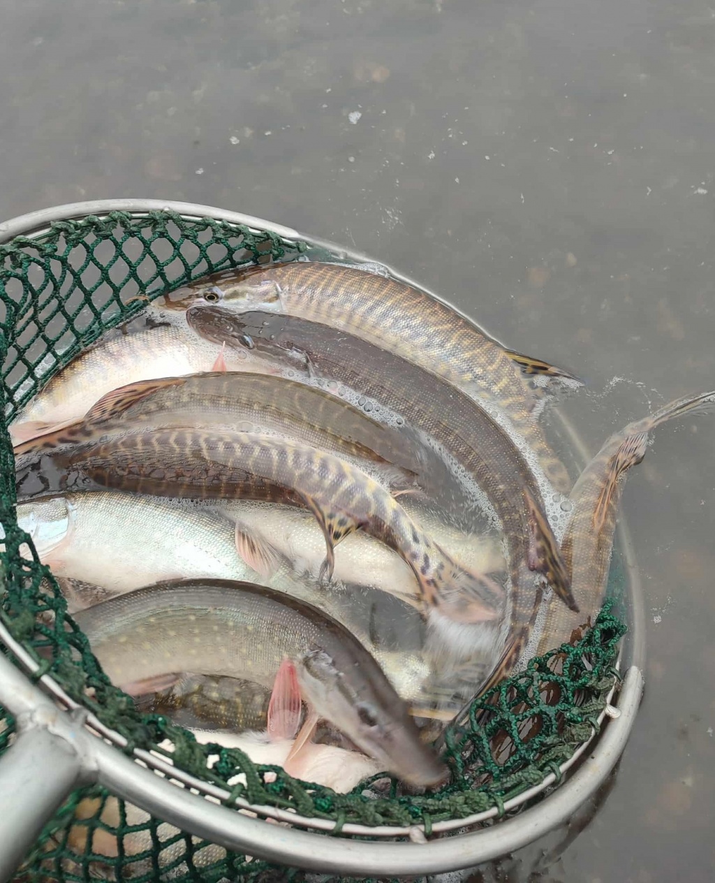
Do revírů distribuováno bylo v posledních dnech distribuováno 1010 kg štiky, dále 13550 kg kapra, 160 kg amura a 70 kg lína

Distribuce do revírů Severočeského ÚS jedou stále na plné obrátky. V posledních dnech bylo distribuováno:

  • 120 kg štiky o průměrné váze 1 kg/ks,
  • 890 kg štiky o průměrné váze 0,4 kg/ks,
  • 9150 kg kapra o průměrné váze 1,5 kg/ks,
  • 400 kg kapra o průměrné váze 1,4 kg/ks,
  • 4000 kg kapra o průměrné váze 1,1 kg/ks,
  • 160 kg amura o průměrné váze 2 kg/ks,
  • 70 kg lína o průměrné váze 0,2 kg/ks

Valice napilno budeme mít i během následujících dní, kdy se mohou rybáři těšit na další ryby, včetně lína, štiky či amura. Druhá polovina října a první polovina listopadu pro nás patří mezi nejnáročnější období roku, ale zároveň krásné, protože vidíme výsledky práce nás i našich dodavatelů. Mnoho dalších krásných ryb bude následovat!

Všem slušným rybářům přejeme Petrův zdar.


22.10.2025, Český rybářský svaz
Otto František Babler
Toužíš po myšlence? Buď tichý a trpělivý rybář.