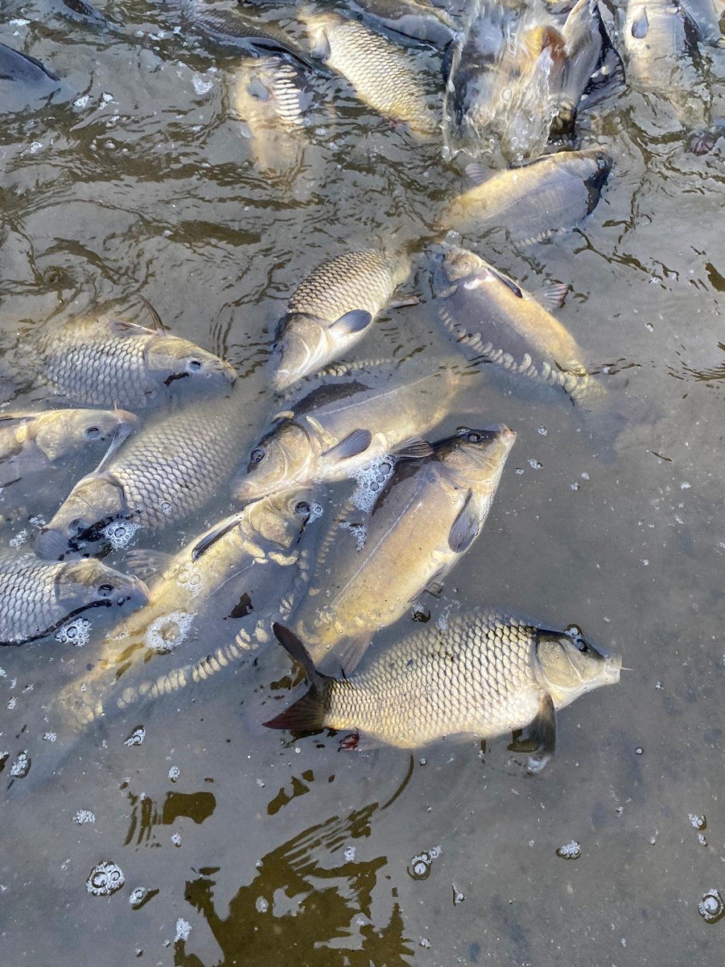
K dalšímu chovu v našich MO byli distribuováno 6905 kg kapra

K dalšímu chovu v chovných nádržích našich místních organizací bylo v posledních dnech distribuováno 6905 kg násady kapra (ryby o průměrné váze 0,6 kg/ks).

Další distribuce násad do chovných nádrží budou v průběhu jara pokračovat. Lze předpokládat, že již na podzim se rybáři mohou na tyto krasavce těšit i v našich revírech.

V průběhu víkendu budeme také informovat o distribucích větších ryb (kapr, štika), které do revírů míří již nyní.


14.03.2025, Český rybářský svaz
Otto František Babler
Toužíš po myšlence? Buď tichý a trpělivý rybář.