Největší jarní výlov je v Chabařovicích úspěšně za námi

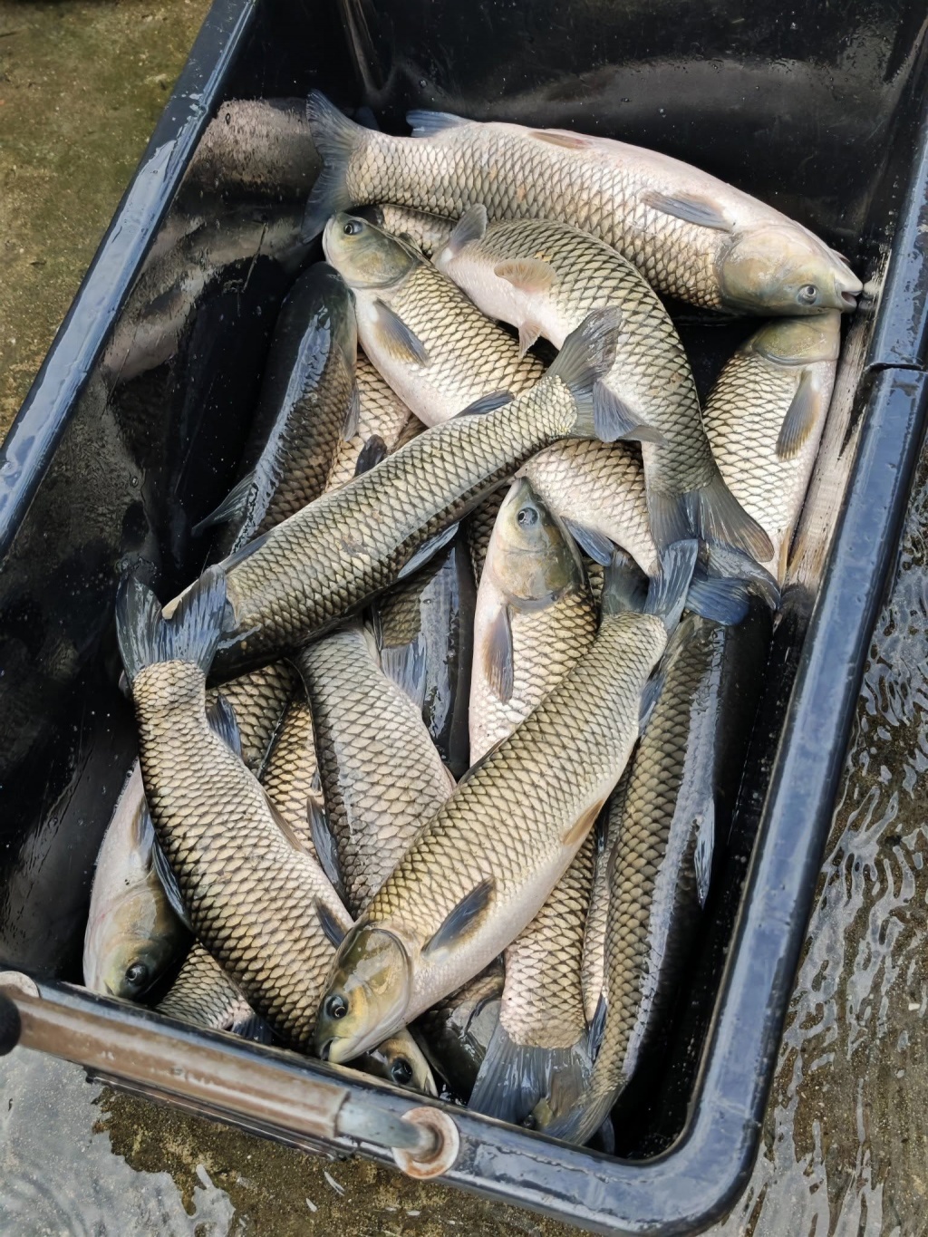
Největší jarní výlov na rybochovném zařízení Severočeského územního svazu v Chabařovicích je úspěšně za námi. Sloven byl dostatek kvalitní násady k další produkci (chovu).

V příštím týdnu nás ještě čeká výlov štičky, protože ty malé zubaté krasavice doslova rostou jako z vody...


04.05.2025, Český rybářský svaz
Otto František Babler
Toužíš po myšlence? Buď tichý a trpělivý rybář.