Sezóna podzimních výlovů v Chabařovicích zahájena

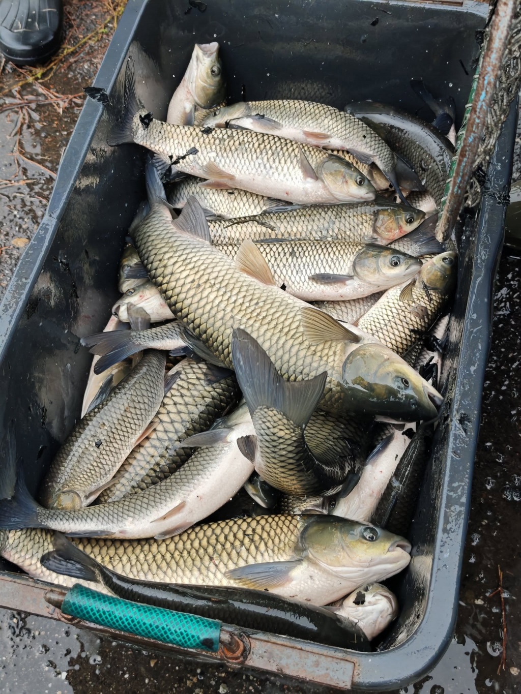
Včera byly na rybochovném zařízení Severočeského územního svazu v Chabařovicích sloveny první dvě chovné nádrže. Většina ryb určena do revírů, část k další produkci (chovu), to např. menší amuři.

V dalším příspěvku budeme také informovat o distribucích za poslední období, kdy bylo krom kapra distribuováno i množství opravdu krásných línů, a množství dalších se chystá...


05.10.2025, Český rybářský svaz
Otto František Babler
Toužíš po myšlence? Buď tichý a trpělivý rybář.